Menu
Click on the image to add
a tag or press ESC to cancel
a tag or press ESC to cancel
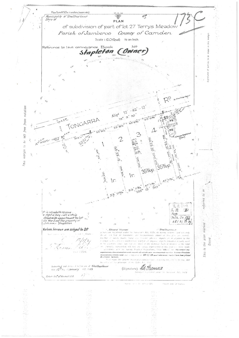
Subdivision Lot 27 Terry's Meadows Estate (Stapleton's Hill) (1939). Shellharbour City Council, accessed 22/01/2026, https://discover.shellharbour.nsw.gov.au/nodes/view/11288






