Menu
Click on the image to add
a tag or press ESC to cancel
a tag or press ESC to cancel
loading google map....
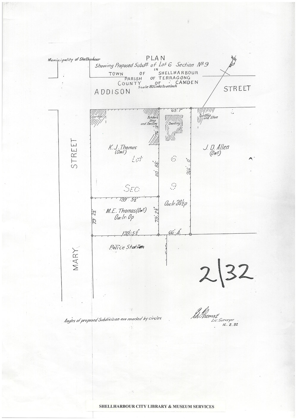
Plan Proposed Subdivision Lot 6 Section 9 Town of Shellharbour (Surveyed 16 February 1932). Shellharbour City Council, accessed 19/05/2026, https://discover.shellharbour.nsw.gov.au/nodes/view/11740






